1.首先要有足够广阔的热带洋面,这个洋面不仅要求海水表面温度要高于26.5℃,而且在60米深的一层海水里,水温都要超过这个数值.其中广阔的洋面是形成台风时的必要自然环境,因为台风内部空气分子间的摩擦,每天平均要消耗3100-4000卡/厘米*2的能量,这个巨大的能量只有广阔的热带海洋释放出的潜热才可能供应 。

文章插图
2.在台风形成之前,预先要有一个弱的热带涡旋存在 。台风也是一部“热机”,它以如此巨大的规模和速度在那里转动,要消耗大量的能量,因此要有能量来源 。台风的能量是来自热带海洋上的水汽 。空气的上升运动是生成和维持台风的一个重要因素 。然而,其必要条件则是先存在一个弱的热带涡旋 。

文章插图
3.要有足够大的地球自转偏向力,因赤道的地转偏向力为零,而向两极逐渐增大,故台风发生地点大约离开赤道5个纬度以上.由于地球的自转,便产生了一个使空气流向改变的力,称为“地球自转偏向力”.在旋转的地球上,地球自转的作用使周围空气很难直接流进低气压,而是沿着低气压的中心作逆时针方向旋转(在北半球) 。

文章插图
4.在弱低压上方,高低空之间的风向风速差别要小.在这种情况下,上下空气柱一致行动,高层空气中热量容易积聚,从而增暖.气旋一旦生成,在摩擦层以上的环境气流将沿等压线流动,高层增暖作用也就能进一步完成 。
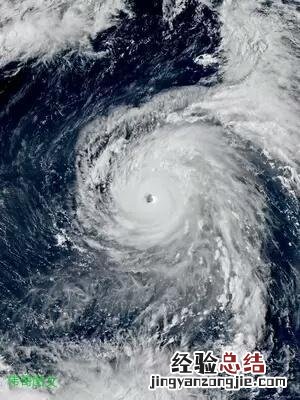
台风是一种破坏性强,危害性大的天气现象 。在台风经过的地区,船只可能被吞没,建筑可能被摧毁,一般还能产生150?300毫米降雨,暴雨造成滑坡、泥石流等严重灾害 。那么,灾害性的台风是怎样形成的呢?

文章插图
经过太阳照射,海面上形成很强的积雨云 , 这些积雨云里的热空气上升,周围较冷空气源源不段地补充进来,再次遇热上升,使得上方空气热、下方空气冷 。上方热空气里的水汽蒸发扩大了云带范围,而云带扩大使得这种运动更加剧烈 。不断扩大的云团受地转偏向力影响,逆时针旋转起来,形成热带气旋 。热带气旋中心的空气逐渐稀?。?空气压力不断变小 , 周围空气便全部涌向热带低压 , 然后遇热上升 。
【台风的形成需要哪些条件 台风怎么形成的原因】

文章插图
此时,热带低压里空气旋转更厉害,中心最大风力升高,气压进一步降低 。等到一定级别时,热带低压会提升到热带风暴 , 然后形成强台风甚至超强台风 。
